Reuters
Vlasti su pozvale javnost da bude oprezna zbog krokodila, koji bi mogli predstavljati prijetnju zbog poplava
povezane vijesti
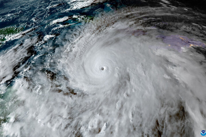
Iznimno snažan uragan Melissa kreće se prema Kubi nakon što je u utorak pogodio Jamajku, opravdajući činjenicu da je to najsnažnija oluja s kojom se ta otočna zemlja ikad suočila.
S vjetrovima koji se približavaju brzini od 300 kilometara na sat, uragan kategorije 5, najviši na Saffir-Simpsonovoj ljestvici, stigao je do kopna zapadne Jamajke oko podneva.
Ovo je najgori uragan koji je pogodio Jamajku otkako se vode meteorološke evidencije, a premijer Andrew Holmes proglasio je otok “zonom katastrofe”.
Vjetar rušio krovove
U Saint Catherineu, u središnjoj Jamajci, rijeka Rio Cobre izlila se iz korita, a snažni vjetrovi rušili su ograde i krovove.Saint Elizabeth, župa na jugozapadu otoka sa 150.000 stanovnika i jamajčanska “žitnica”, bila je potopljena, prema riječima lokalnog dužnosnika Desmonda McKenzieja na konferenciji za novinare.”Šteta u Saint Elizabethu je znatna, cijela Jamajka pretrpjela je razorne posljedice Melisse”, dodao je, dodajući da je oštećeno nekoliko bolnica.
Satellite imagery shows Hurricane #Melissa‘s growth from its formation on October 21 to a Category 5 hurricane through October 27, 2025. #HurricaneMelissa pic.twitter.com/goR3Hbgb9c
— The Weather Network (@weathernetwork) October 27, 2025
Uragan je, čak i prije nego što je stigao do kopna, usmrtio tri osobe na Jamajci, koja se pripremala za njegov dolazak, kao i tri druge osobe na Haitiju i jednu u Dominikanskoj Republici.Na Haitiju su vlasti u srijedu naredile zatvaranje škola, tvrtki i vladinih ureda.UN je u utorak objavio da što prije uspostavi zračni prijevoz oko 2000 paketa pomoći s Barbadosa na Jamajku dostavi s Barbadosa.
Posljednji veliki uragan koji je pogodio Jamajku bio je Gilbert u rujnu 1988, manje snažan od Melissine, ubio je 40 ljudi i prouzročio ogromnu štetu.
The US Air Force Reserve Hurricane Hunters flew straight through Category 5 Hurricane Melissa, capturing an incredible view from inside the storm’s eye. pic.twitter.com/bq6bY3PqPz
— Nature is Amazing ☘️ (@AMAZlNGNATURE) October 28, 2025
Nakon što je izgubila dio snage i degradirana je na 4. kategoriju, Melissa je počela napuštati Jamajku prema Kubi, prema američkom Nacionalnom centru za uragane (NHC), upozoravajući da je situacija i dalje „izuzetno opasna“.
Na Kubi stanovnici bježe s obale dok se Melissa približava. Lokalne vlasti proglasile su stanje pripravnosti u šest pokrajina na istoku zemlje, a stanovnici od ponedjeljka pokušavaju opskrbiti hranom, svijećama i baterijama.Očekuju se iznimno jaki olujni vjetrovi, kao i teške obalne poplave i bujične kiše koje bi mogle uzrokovati katastrofalna klizišta, diljem zemlje.
Vlasti su pozvale javnost da bude oprezna zbog krokodila, koji bi mogli predstavljati prijetnju zbog poplava.